
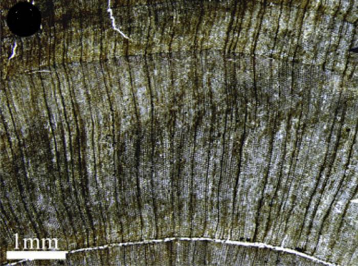
新疆准噶尔盆地三叠纪裸子植物具有年轮硅化木切片
(化石网报道/洪河)南京地质古生物研究所的科研人员万明礼、唐鹏以及王军等人最近对新疆准噶尔盆地晚三叠世的裸子植物木化石,即,硅化木,进行了综合研究。新报道的裸子植物被命名为准噶尔异木(Xenoxylon junggarensis),并对准噶尔盆地三叠纪的气候特征进行了探讨。
硅化保存的木化石植物细节丰富,不但完整体现了植物体的微观特征,而且还记录了植物所生活时代的气候特征。相关的植物类型已经成为了中生代陆地生态系统和古气候研究的重要材料。
准噶尔盆地在晚三叠世时期位于北半球中-高纬度地区,光照强度的季节性减弱,造成植物形成层的周期性活动,形成有规律的年轮(生长轮)。根据对这些硅化木植物生长轮年敏感度(AS)和平均敏感度(MS)的研究,研究人员推断准噶尔盆地当时气候较为温暖、潮湿,并具有明显的季节性变化。(化石网/洪河)
本文参考资料:
[1] Wan, M., Zhou, W., Tang, P., Liu, L., Wang, J., 2016. Xenoxylon junggarensis sp. nov., a new gymnospermous fossil wood from the Norian (Triassic) Huangshanjie Formation in northwestern China, and its palaeoclimatic implications. Palaeogeography, Palaeoclimatology, Palaeoecology 441, 679-687.
注意:转载请注明来源:化石网/洪河,否则追究法律责任。